公示说明
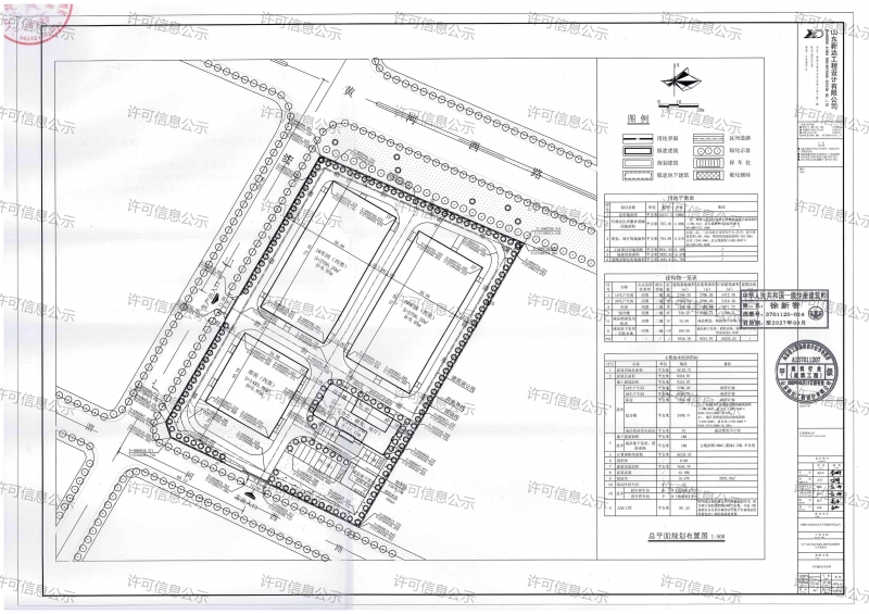
项目名称:年产150万支净化滤芯及环保过滤材料生产线项目
类 型:批后公告
公示类别:工程规划许可证
建设单位:新疆可克达拉新壹天环保设备有限公司
用地位置:可克达拉经开区城北区,东至乌孙山北路、南至渭河西路、西至广仁路、北至黄河西路。
建筑规模:新建综合楼建筑面积2436.71㎡,框架结构,地上3层,建筑高度17.15m;库房建筑面积1485.86㎡,钢结构,地上1层,建筑高度9.65m;1#车间、2#车间建筑面积2706.20㎡,钢结构,地上1层,建筑高度9.65m;成品柴油发电机房,地上1层;成品地下泵房、消防水池,地下1层。配套建设相关附属设施。
公示附图:详见证书及附图
公示期限:长期
公示日期:2025年1月29日—规划竣工验收
经办单位:第四师可克达拉市自然资源和规划局
咨询电话:0999-8189753 8182946 8189037
附加说明:依据《中华人民共和国土地管理法》《中华人民共和国土地管理法实施条例》《中华人民共和国城乡规划法》《中华人民共和国行政许可法》《兵团建设用地规划许可和建设工程规划许可管理办法(试行)》等有关法律法规,特此公示。如有意见和建议,请于公示时间内向我单位反馈。
信访电话:0999-8182946 8189037




