公示说明
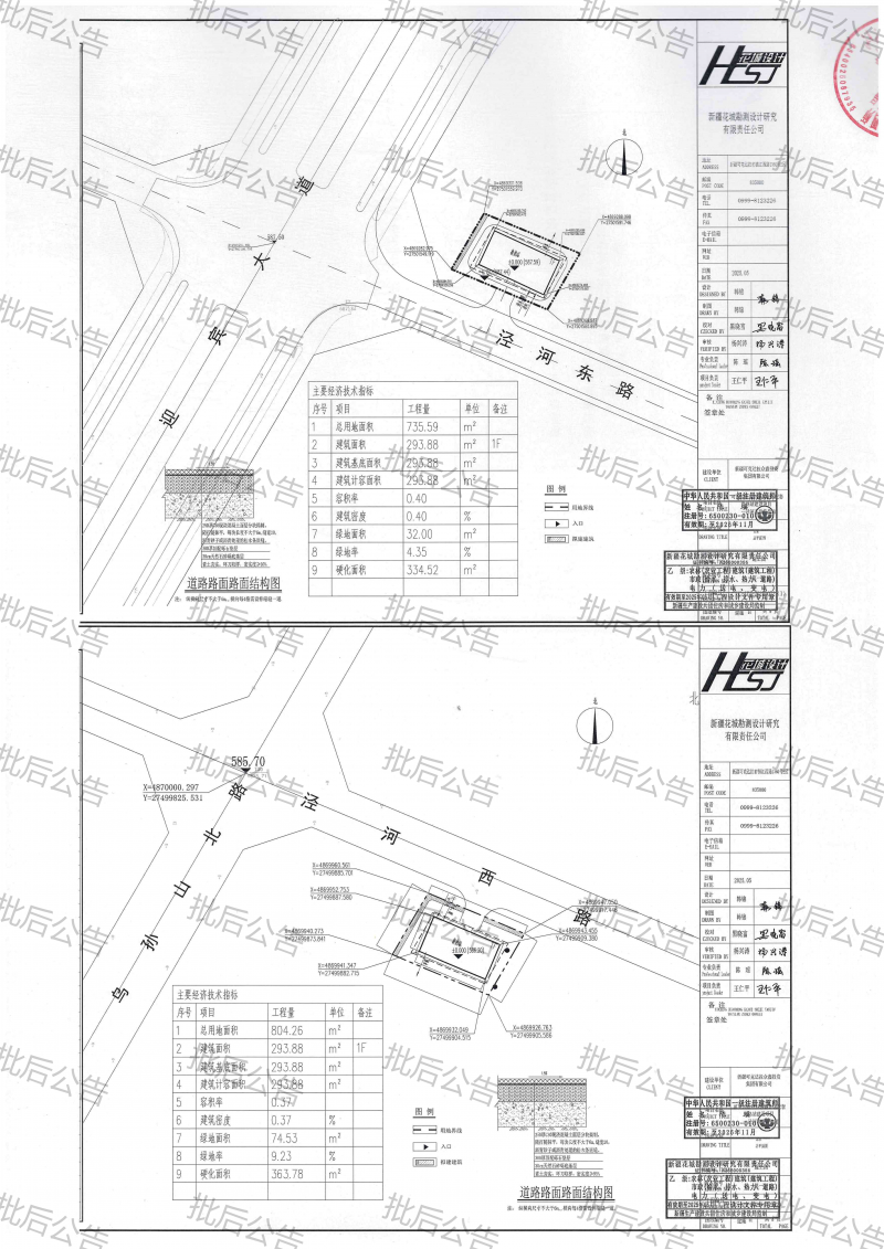
项目名称:可克达拉经开区城北区配套换热站建设项目
类 型:批后公告
公示类别:工程规划许可证
建设单位:新疆可克达拉众鑫投资集团有限公司
用地位置:可克达拉经开区城北区,泾河东路、泾河西路
建筑规模:泾河东路换热站建筑面积293.88㎡,框架结构,地上1层,建筑高度4.35m;泾河西路换热站建筑面积293.88㎡,框架结构,地上1层,建筑高度4.35m。配套建设相关附属工程及设备。
公示附图:详见证书及附图
公示期限:长期
公示日期:2025年6月19日—规划竣工验收
经办单位:第四师可克达拉市自然资源和规划局
咨询电话:0999-8189662 8189753 8182946
附加说明:依据《中华人民共和国土地管理法》《中华人民共和国土地管理法实施条例》《中华人民共和国城乡规划法》《中华人民共和国行政许可法》《兵团建设用地规划许可和建设工程规划许可管理办法(试行)》等有关法律法规,特此公示。如有意见和建议,请于公示时间内向我局反馈。
信访电话:0999-8182946 8189037




