霍尔果斯丝路国际贸易物流有限公司霍尔果斯站铁路专用线项目批前公示说明
项目名称:霍尔果斯丝路国际贸易物流有限公司霍尔果斯站铁路专用线
类 型:批前公示
建设单位:霍尔果斯丝路国际贸易物流有限公司
用地位置:霍尔果斯经济开发区兵团分区
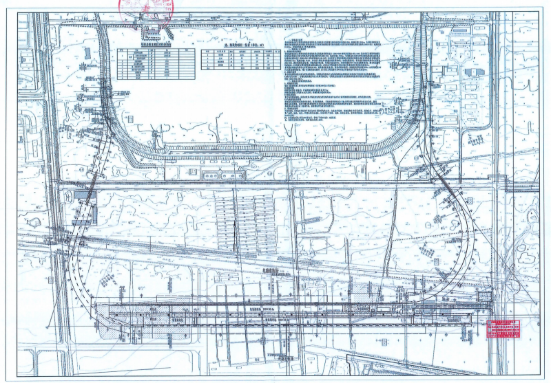
建设规模:新建丝路准轨场和丝路宽轨场各1处,丝路准轨场线路自霍尔果斯换装场油品线准轨线引出,新建线路长度2.627千米,丝路宽轨场线路自霍尔果斯换装场油品线宽轨走行线引出,新建线路长度2.65千米。
公示附图:详见规划总平面图
公示期限:7个工作日
公示日期:2025年6月18日至2025年6月26日
经办单位:新疆生产建设兵团第四师自然资源和规划局
咨询电话:0999-8189753
附加说明:依据《中华人民共和国土地管理法》《中华人民共和国土地管理法实施条例》《中华人民共和国城乡规划法》《中华人民共和国行政许可法》《自然资源部办公厅关于印发〈自然资源领域基层政务公开标准指引〉的通知》,特此公示。如有意见和建议,请于公示时间内向我局反馈。
信访电话:0999-8182946


