公示说明
项目名称:第四师七十五团换热站建设项目
类类型型:批后公告
公示类别:工程规划许可证
建设单位:新疆生产建设兵团第四师七十五团城镇管理和生态保护中心
用地位置:75团团直
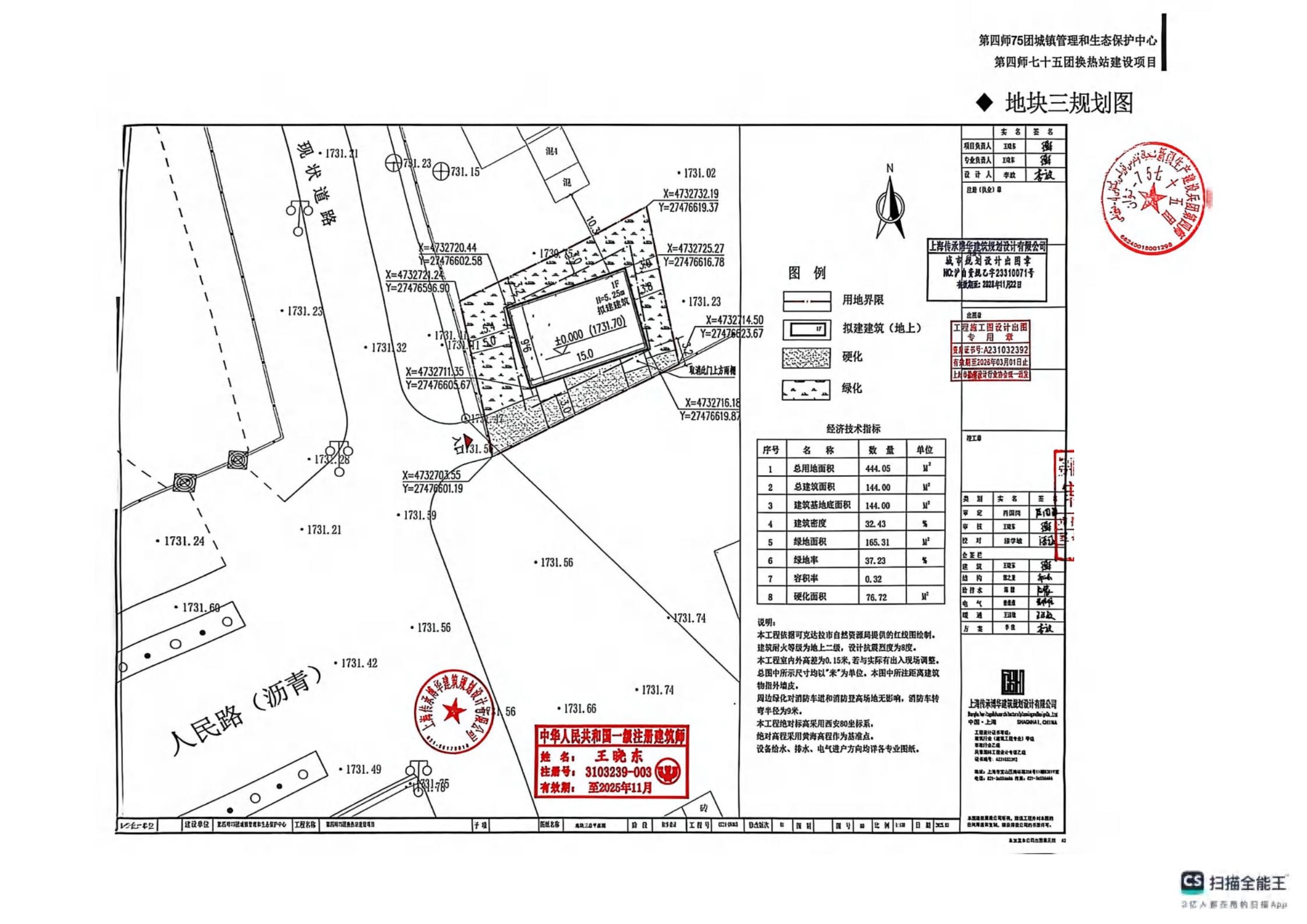
建筑规模:新建换热站3座,总建筑面积432平方米。
公示附图:详见证件及附图
公示期限:长期
公示日期:2025年11月10日至规划竣工验收
经办单位:第四师可克达拉市自然资源和规划局
咨询电话:0999—8189753 8182946 8189037
附加说明:依据《中华人民共和国土地管理法》《中华人民共和国土地管理法实施条例》《中华人民共和国城乡规划法》《中华人民共和国行政许可法》《自然资源部办公厅关于印发〈自然资源领域基层政务公开标准指引〉的通知》,特此公示。如有意见和建议,请于公示时间内向我局反馈。信访电话:0999—8182946 8189037。






